Lokaal bestuur Laakdal liet een verkeersstudie uitvoeren voor de ‘zuidelijke lob’ in Veerle; dit omvat het gebied tussen Kruisstraat, Kapellestraat, Diestse Baan en Veerledorp. De straten waar het onderzoek zich situeert, zijn op onderstaande kaart groen gemarkeerd.
Toelichting resultaten verkeersstudie
IOK lichtte de resultaten van deze verkeersstudie toe tijdens een infoavond voor de betrokken inwoners. De huidige verkeerssituatie kwam er aan bod en er werd gekeken naar welke verbeteringen op korte en langere termijn mogelijk zijn.
De bewoners kregen meer uitleg bij de tijdelijke verkeersmaatregelen die we via proefopstellingen willen uittesten.
Na de proefperiode evalueren we deze opstellingen om te bepalen welke aanpassingen nodig zijn om de verkeerssituatie in de zuidelijke lob te optimaliseren.
De presentatie van de infoavond kan je hier downloaden.
Tijdelijke proefopstellingen en aanpassingen
Omdat dit gebied te kampen heeft met verkeersoverlast zoals sluipverkeer, niet respecteren van de snelheidsbeperking en beperkte ruimte, zijn er enkele proefopstellingen ingevoerd. Met deze proefopstellingen willen we nagaan welke aanpassingen er mogelijk zijn om de verkeerssituatie op termijn te verbeteren.
Oktober 2025 - Plaatsing vaste signalisatie
De technische dienst vervangt binnenkort de tijdelijke verkeersborden aan de proefopstellingen in de zuidelijke lob door vaste. Dat doen we uit veiligheidsoverwegingen: tijdelijke borden op een voet of sokkel kunnen, bijvoorbeeld door harde wind, omvallen of schade veroorzaken. Deze aanpassing betekent niet dat de maatregelen definitief zijn. De proefopstellingen blijven voorlopig behouden om het verkeer verder te kunnen opvolgen en evalueren.
Oktober 2025 - verplaatsing bushalte
De bushalte 'Pastorijstraat' van de Lijn tegenover de krantenwinkel op de N127 (Veerledorp) zal verplaatst worden. Op de plaats waar de huidige bushalte zich nu bevindt, komen een aantal parkeerplaatsen voor kort parkeren (max. 15 min.) De bushalte 'Pastorijstraat' verhuist naar rechts. De voorbereidingen voor deze verplaatsing zijn momenteel bezig, allereerst zal de belijning van de huidige halte worden weggestraald, vervolgens wordt de nieuwe belijning aangebracht waar de bushalte zal komen. Tenslotte wordt - onder voorbehoud op het einde van de week van 20 oktober - het bushokje verplaatst. Dan zal de Lijn gebruik maken van de verplaatste halte.
Sinds 1 augustus '25 is de nieuwe tijdelijke verkeerssituatie ingevoerd.
De effecten van deze tijdelijke opstellingen worden continu opgevolgd en gemeten, zodat we ze tijdig kunnen bijsturen waar nodig. In het najaar zullen we de verschillende proefopstellingen evalueren samen met de betrokken buurtbewoners.
* Op 8 september '25 zullen enkele aanpassingen aan de tijdelijke proefopstellingen worden uitgevoerd. Deze aanpassingen komen er na enkele suggesties om de veiligheid te verhogen. De aanpassingen zijn in onderstaand overzicht gemarkeerd met een *.
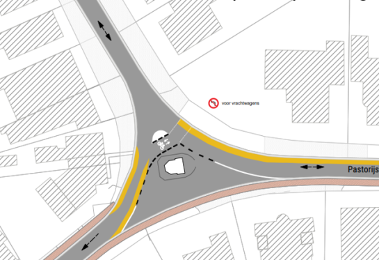
Pastorijstraat
- Er werd een dubbelrichtingsfietspad langs de Pastorijstraat aangelegd.
- Het fietspad loopt vanaf Veerledorp (ter hoogte van ’t Krantje) tot aan de kapel.
- * De fietsoversteek in de Kapellestraat ter hoogte van de kapel is gemarkeerd.
* Voorrangsregeling Pastorijstraat
- De voorrangsregeling in de Pastorijstraat wordt aangepast: het verkeer in de Pastorijstraat krijgt voorrang ten opzichte van de zijstraten Pastorijkluis en Veldbraak.
Kruispunt Pastorijstraat – Lakstraat
- De zuidelijke doorsteek wordt afgesloten voor gemotoriseerd verkeer.
- Komende uit de Kapellestraat (fietsstraat) is rechts afslaan richting de sporthal verboden voor gemotoriseerd verkeer. Doorgang blijft wel mogelijk voor fietsers.
- De sporthal is dus voor gemotoriseerd verkeer enkel bereikbaar via de Pastorijstraat.
- Vrachtverkeer komende van de sporthal moet verplicht rechts afslaan. Vrachtverkeer kan niet van de sporthal naar de Lakstraat richting Veerle-Heide.
Lakstraat
- Lakstraat is enkelrichting in het gedeelte tussen Pastorijstraat en Kruisstraat voor gemotoriseerd verkeer. Dit wil zeggen dat verkeer wel van de sporthal richting Veerle-Heide kan, maar niet meer omgekeerd.
- Fietsers kunnen wel in beide richtingen.
Kapellestraat
- Richting Diestse Baan zijn er wegversmallingen aangebracht. Aan het kruispunt met de Diestse Baan zijn wegmarkeringen aangebracht.
- * De betonblokken die in eerste instantie werden geplaatst, zijn vervangen door plantbakken. Sommige werden wat verplaatst om de zichtbaarheid of doorgang te verbeteren.
Kruispunt Kruisstraat - Oude Geelsebaan
De bocht van de Oude Geelsebaan richting Kruisstraat werd meer haaks. Hiervoor werden afscheidingen (jerseys) geplaatst. Met signalisatie en bijkomende verlichting wordt deze ingreep extra zichtbaar gemaakt.
Vragen en extra toelichting naar aanleiding van de infoavond
Uit de infosessie blijkt dat bewoners de noodzaak van maatregelen erkennen. Tegelijk is duidelijk dat een ideale oplossing voor iedereen een moeilijke kaart is. Daarom gaan we op zoek naar de best mogelijke en meest haalbare oplossingen.
Hieronder geven we een overzicht van vragen, opmerkingen of suggesties die regelmatig terugkwamen tijdens de infosessie. De overige meldingen noteren we eveneens en nemen we zeker mee in de evaluatie!
Aandachtspunten per straat
Kapellestraat
- Voorrang van rechts en eenrichtingsverkeer worden vaak genegeerd.
- Mensen houden zich niet aan de maximum toegelaten snelheid.
- Er is geen voetpad aanwezig in het gedeelte tussen Diestsebaan en kruispunt Kapellestraat.
Pastorijstraat
- Drukte en sluipverkeer.
- Auto’s staan foutief geparkeerd aan het begin van de straat (nabij de gewestweg).
- Smalle doorgang om als ontsluitingsweg te gebruiken voor deze lob.
Kruisstraat
- Drukte en sluipverkeer.
- Mensen houden zich niet aan de maximum toegelaten snelheid.
Leyndekker
- Wordt frequent als doorsteekweg gebruikt.
Lakstraat
- De Lakstraat valt niet binnen deze studie, hier is een aparte studie voor lopende.
- Er werden enkele opmerkingen ingediend voor deze straat. Deze meldingen worden geregistreerd en meegenomen in de studie die Lakstraat omvat.